Details of record no: 26347

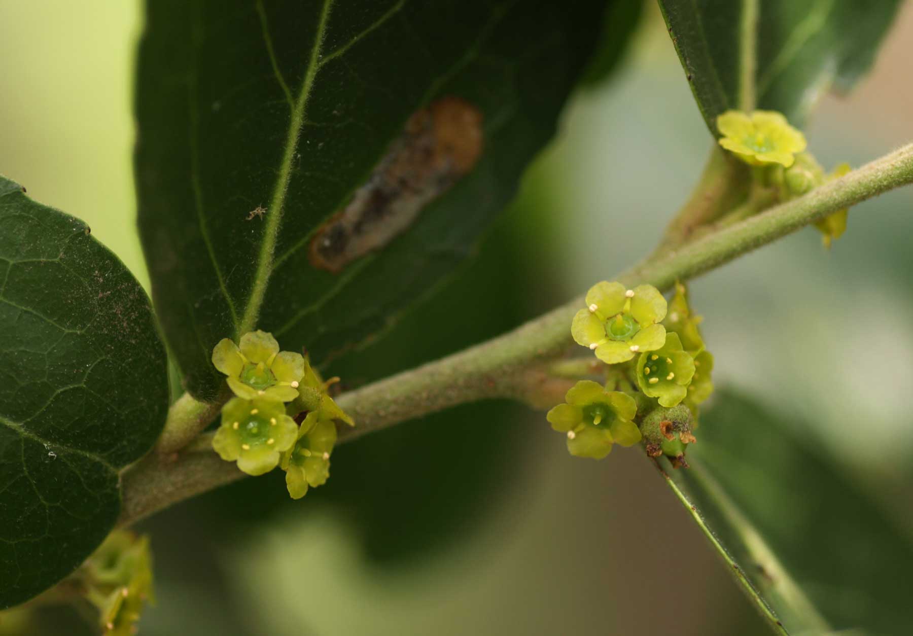
Mystroxylon aethiopicum (Thunb.) Loes.

Three blocks of information are displayed on this page, namely: (a) details of the record; (b) the record point plotted using Google Maps and (c) any images attached to the record. Please scroll down to see the various items.

Record details:

Date: 27 Dec 2009
Recorder(s):BT Wursten
P Ballings
Collector(s):BT Wursten
P Ballings
PB1392
Determiner(s):
Confirmer(s):
Herbarium:BR
Habitat: On rocky outcrop near lake shore
Location: Marydale Point Lake Chivero Recreational Park
Location code(s): 11
Outing code:
Planted code: Not planted
Country: Zimbabwe
Quarter Degree Square: 1730D4
Grid reference:
FZ divisions: C
Altitude (metres): 1380
Notes:
Latitude, Longitude: -17.898920, 30.769480
Location Accuracy Code: 7

Map of species record

Images:

Image: 4

Mystroxylon aethiopicum

Species id:137090
Image id:4
Image number:6670
Photographer: BT Wursten
Code 1 if image of a herbarium specimen:0
Herbarium in which image taken:
Code 1 if image not to be displayed:0
Image notes:

Image: 5

Mystroxylon aethiopicum

Species id:137090
Image id:5
Image number:8129
Photographer: BT Wursten
Code 1 if image of a herbarium specimen:0
Herbarium in which image taken:
Code 1 if image not to be displayed:0
Image notes:

Image: 6

Mystroxylon aethiopicum

Species id:137090
Image id:6
Image number:8130
Photographer: BT Wursten
Code 1 if image of a herbarium specimen:0
Herbarium in which image taken:
Code 1 if image not to be displayed:0
Image notes:

Copyright: Mark Hyde, Bart Wursten, Petra Ballings and Meg Coates Palgrave, 2002-25

Hyde, M.A., Wursten, B.T., Ballings, P. & Coates Palgrave, M. (2025). Flora of Zimbabwe: Individual record no: 26347: Mystroxylon aethiopicum.
https://www.zimbabweflora.co.zw/speciesdata/species-record.php?record_id=26347, retrieved 23 December 2025

Site software last modified: 18 October 2025 12:29pm (GMT +2)
Terms of use