Details of record no: 26681

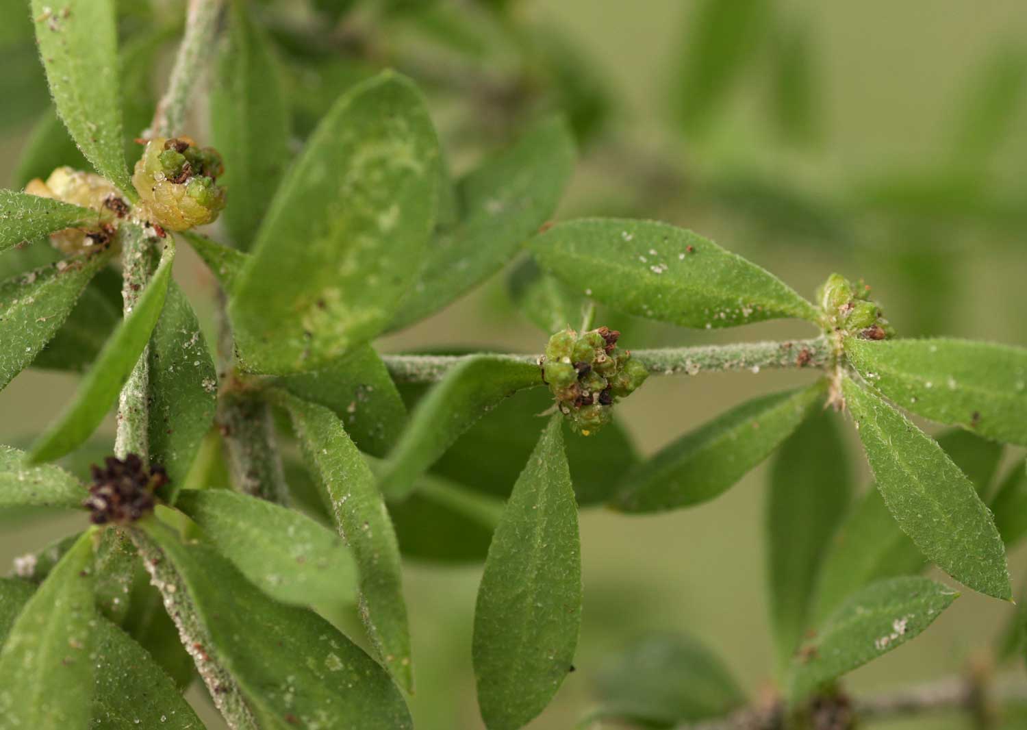
Pollichia campestris Aiton

Three blocks of information are displayed on this page, namely: (a) details of the record; (b) the record point plotted using Google Maps and (c) any images attached to the record. Please scroll down to see the various items.

Record details:

Date: 6 Jan 2010
Recorder(s):MA Hyde
BT Wursten
P Ballings
Collector(s):10.006.14
Determiner(s):
Confirmer(s):
Herbarium:
Habitat: Sandy ground under trees
Location: Near railway line by road to Hwange NP, Main Camp
Location code(s):
Outing code: 6
Planted code: Not planted
Country: Zimbabwe
Quarter Degree Square: 1826D2
Grid reference:
FZ divisions: W
Altitude (metres): 1090
Notes:
Latitude, Longitude: -18.684360, 26.938060
Location Accuracy Code: 0

Map of species record

Images:

Image: 1

Pollichia campestris

Species id:123420
Image id:1
Image number:6802
Photographer: BT Wursten
Code 1 if image of a herbarium specimen:0
Herbarium in which image taken:
Code 1 if image not to be displayed:0
Image notes:

Image: 2

Pollichia campestris

Species id:123420
Image id:2
Image number:8052
Photographer: BT Wursten
Code 1 if image of a herbarium specimen:0
Herbarium in which image taken:
Code 1 if image not to be displayed:0
Image notes:

Image: 3

Pollichia campestris

Species id:123420
Image id:3
Image number:8053
Photographer: BT Wursten
Code 1 if image of a herbarium specimen:0
Herbarium in which image taken:
Code 1 if image not to be displayed:0
Image notes:

Image: 4

Pollichia campestris

Species id:123420
Image id:4
Image number:8054
Photographer: BT Wursten
Code 1 if image of a herbarium specimen:0
Herbarium in which image taken:
Code 1 if image not to be displayed:0
Image notes:

Image: 5

Pollichia campestris

Species id:123420
Image id:5
Image number:8055
Photographer: BT Wursten
Code 1 if image of a herbarium specimen:0
Herbarium in which image taken:
Code 1 if image not to be displayed:0
Image notes:

Image: 6

Pollichia campestris

Species id:123420
Image id:6
Image number:8056
Photographer: BT Wursten
Code 1 if image of a herbarium specimen:0
Herbarium in which image taken:
Code 1 if image not to be displayed:0
Image notes:

Copyright: Mark Hyde, Bart Wursten, Petra Ballings and Meg Coates Palgrave, 2002-25

Hyde, M.A., Wursten, B.T., Ballings, P. & Coates Palgrave, M. (2025). Flora of Zimbabwe: Individual record no: 26681: Pollichia campestris.
https://www.zimbabweflora.co.zw/speciesdata/species-record.php?record_id=26681, retrieved 23 December 2025

Site software last modified: 18 October 2025 12:29pm (GMT +2)
Terms of use