Details of record no: 6226

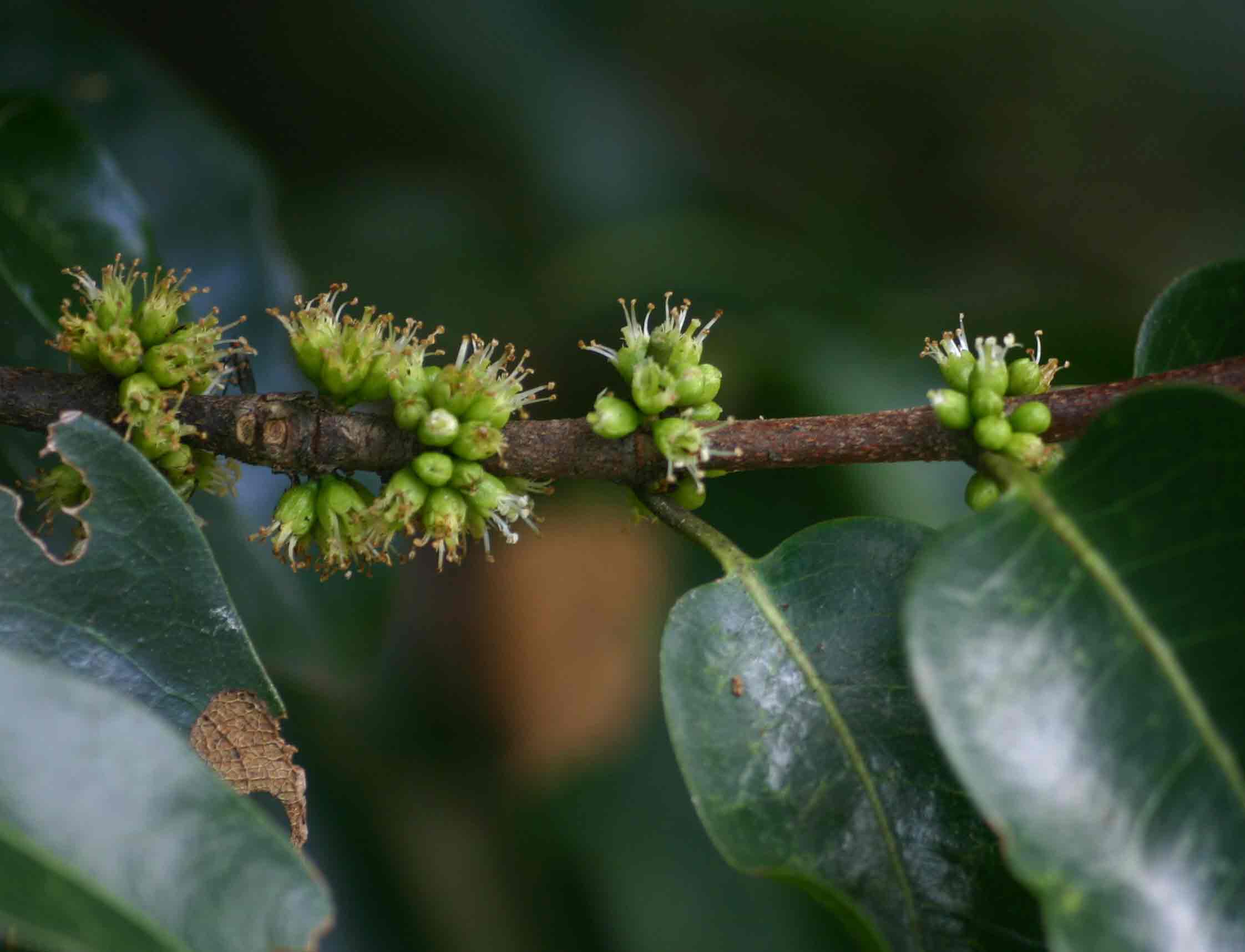
Cassipourea gummiflua Tul.

Three blocks of information are displayed on this page, namely: (a) details of the record; (b) the record point plotted using Google Maps and (c) any images attached to the record. Please scroll down to see the various items.

Record details:

Date: 10 Mar 2006
Recorder(s):BT Wursten
Collector(s):
Determiner(s):
Confirmer(s):
Herbarium:
Habitat: Forest edge
Location: Ndundu Lodge, Vumba
Location code(s): 10,63,156
Outing code:
Planted code: Not planted
Country: Zimbabwe
Quarter Degree Square: 1932B2
Grid reference: VP764864
FZ divisions: E
Altitude (metres): 1670
Notes:
Latitude, Longitude: -19.118310, 32.775310
Location Accuracy Code: 6

Map of species record

Images:

Image: 1

Cassipourea gummiflua

Species id:141750
Image id:1
Image number:2713
Photographer: BT Wursten
Code 1 if image of a herbarium specimen:0
Herbarium in which image taken:
Code 1 if image not to be displayed:0
Image notes:

Image: 2

Cassipourea gummiflua

Species id:141750
Image id:2
Image number:2714
Photographer: BT Wursten
Code 1 if image of a herbarium specimen:0
Herbarium in which image taken:
Code 1 if image not to be displayed:0
Image notes:

Image: 3

Cassipourea gummiflua

Species id:141750
Image id:3
Image number:2715
Photographer: BT Wursten
Code 1 if image of a herbarium specimen:0
Herbarium in which image taken:
Code 1 if image not to be displayed:0
Image notes:

Copyright: Mark Hyde, Bart Wursten, Petra Ballings and Meg Coates Palgrave, 2002-25

Hyde, M.A., Wursten, B.T., Ballings, P. & Coates Palgrave, M. (2025). Flora of Zimbabwe: Individual record no: 6226: Cassipourea gummiflua.
https://www.zimbabweflora.co.zw/speciesdata/species-record.php?record_id=6226, retrieved 22 December 2025

Site software last modified: 18 October 2025 12:29pm (GMT +2)
Terms of use