Details of record no: 79617

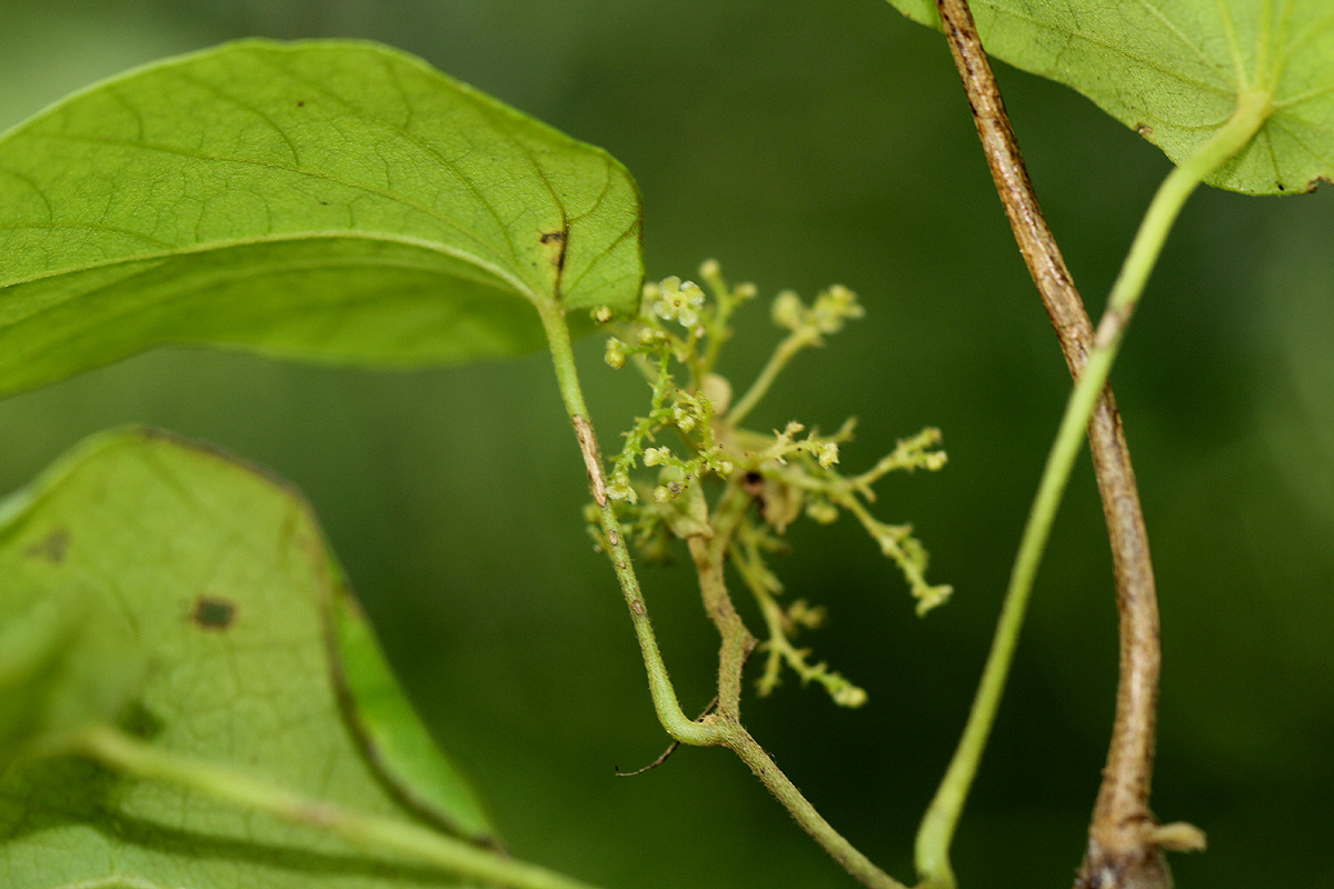
Cissampelos pareira L.
var. hirsuta (Burch. ex DC.) Forman

Three blocks of information are displayed on this page, namely: (a) details of the record; (b) the record point plotted using Google Maps and (c) any images attached to the record. Please scroll down to see the various items.

Record details:

Date: 21 Apr 2017
Recorder(s):BT Wursten
T Castigo
IAI Nuvunga
Collector(s):BT Wursten
BW1872
Determiner(s):BT Wursten
Confirmer(s):
Herbarium:BR
EOWBL
Habitat: Margin of open woodland and more dense dry forest vegetation
Location: Along road West from Khodzue Gorge
Location code(s): 202
Outing code: 49
Planted code: Not planted
Country: Mozambique
Quarter Degree Square: 1834D2
Grid reference:
FZ divisions: MS
Altitude (metres): 274
Notes: Leaves peltate but male inflorescences bracteate and fruit hairy, bright red.
Latitude, Longitude: -18.560230, 34.825230
Location Accuracy Code: 7

Map of species record

Images:

Image: 1

Cissampelos pareira var. hirsuta

Species id:123680
Image id:1
Image number:27420
Photographer: BT Wursten
Code 1 if image of a herbarium specimen:0
Herbarium in which image taken:
Code 1 if image not to be displayed:0
Image notes:

Image: 2

Cissampelos pareira var. hirsuta

Species id:123680
Image id:2
Image number:27421
Photographer: BT Wursten
Code 1 if image of a herbarium specimen:0
Herbarium in which image taken:
Code 1 if image not to be displayed:0
Image notes:

Image: 3

Cissampelos pareira var. hirsuta

Species id:123680
Image id:3
Image number:27422
Photographer: BT Wursten
Code 1 if image of a herbarium specimen:0
Herbarium in which image taken:
Code 1 if image not to be displayed:0
Image notes:

Image: 4

Cissampelos pareira var. hirsuta

Species id:123680
Image id:4
Image number:27423
Photographer: BT Wursten
Code 1 if image of a herbarium specimen:0
Herbarium in which image taken:
Code 1 if image not to be displayed:0
Image notes:

Image: 5

Cissampelos pareira var. hirsuta

Species id:123680
Image id:5
Image number:27424
Photographer: BT Wursten
Code 1 if image of a herbarium specimen:0
Herbarium in which image taken:
Code 1 if image not to be displayed:0
Image notes:

Image: 6

Cissampelos pareira var. hirsuta

Species id:123680
Image id:6
Image number:27425
Photographer: BT Wursten
Code 1 if image of a herbarium specimen:0
Herbarium in which image taken:
Code 1 if image not to be displayed:0
Image notes:

Image: 7

Cissampelos pareira var. hirsuta

Species id:123680
Image id:7
Image number:27426
Photographer: BT Wursten
Code 1 if image of a herbarium specimen:0
Herbarium in which image taken:
Code 1 if image not to be displayed:0
Image notes:

Copyright: Mark Hyde, Bart Wursten, Petra Ballings and Meg Coates Palgrave, 2002-25

Hyde, M.A., Wursten, B.T., Ballings, P. & Coates Palgrave, M. (2025). Flora of Zimbabwe: Individual record no: 79617: Cissampelos pareira.
https://www.zimbabweflora.co.zw/speciesdata/species-record.php?record_id=79617, retrieved 23 December 2025

Site software last modified: 18 October 2025 12:29pm (GMT +2)
Terms of use