Details of record no: 96555

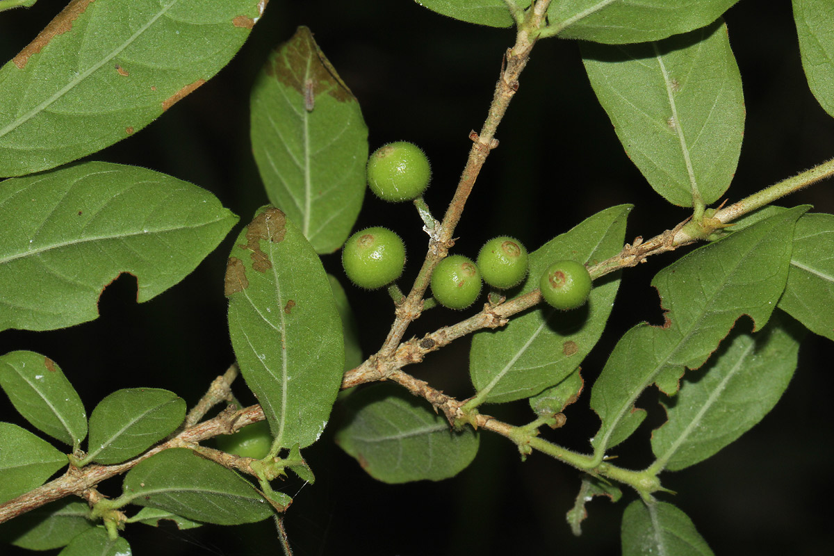
Empogona kirkii Hook. f.
subsp. kirkii

Three blocks of information are displayed on this page, namely: (a) details of the record; (b) the record point plotted using Google Maps and (c) any images attached to the record. Please scroll down to see the various items.

Record details:

Date: 21 Apr 2017
Recorder(s):BT Wursten
T Castigo
IAI Nuvunga
Collector(s):BT Wursten
BW1867
Determiner(s):BT Wursten
Confirmer(s):
Herbarium:BR
EOWBL
Habitat: In dense vegetation by old termite mound in woodland
Location: Along road West from Khodzue Gorge
Location code(s): 202
Outing code: 49
Planted code: Not planted
Country: Mozambique
Quarter Degree Square: 1834D2
Grid reference:
FZ divisions: MS
Altitude (metres): 261
Notes: In fruit. Leaves hairy beneath.
Latitude, Longitude: -18.561030, 34.826690
Location Accuracy Code: 7

Map of species record

Images:

Image: 12

Empogona kirkii subsp. kirkii

Species id:155550
Image id:12
Image number:30794
Photographer: BT Wursten
Code 1 if image of a herbarium specimen:0
Herbarium in which image taken:
Code 1 if image not to be displayed:0
Image notes:

Image: 13

Empogona kirkii subsp. kirkii

Species id:155550
Image id:13
Image number:30795
Photographer: BT Wursten
Code 1 if image of a herbarium specimen:0
Herbarium in which image taken:
Code 1 if image not to be displayed:0
Image notes:

Image: 14

Empogona kirkii subsp. kirkii

Species id:155550
Image id:14
Image number:30796
Photographer: BT Wursten
Code 1 if image of a herbarium specimen:0
Herbarium in which image taken:
Code 1 if image not to be displayed:0
Image notes:

Image: 15

Empogona kirkii subsp. kirkii

Species id:155550
Image id:15
Image number:30797
Photographer: BT Wursten
Code 1 if image of a herbarium specimen:0
Herbarium in which image taken:
Code 1 if image not to be displayed:0
Image notes:

Copyright: Mark Hyde, Bart Wursten, Petra Ballings and Meg Coates Palgrave, 2002-25

Hyde, M.A., Wursten, B.T., Ballings, P. & Coates Palgrave, M. (2025). Flora of Zimbabwe: Individual record no: 96555: Empogona kirkii.
https://www.zimbabweflora.co.zw/speciesdata/species-record.php?record_id=96555, retrieved 24 December 2025

Site software last modified: 18 October 2025 12:29pm (GMT +2)
Terms of use