Details of record no: 101852

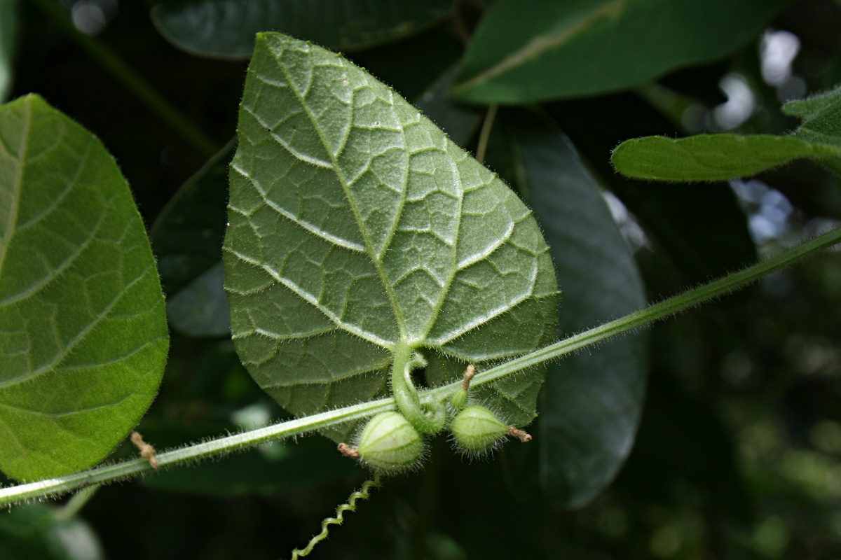
Kedrostis foetidissima (Jacq.) Cogn.

Three blocks of information are displayed on this page, namely: (a) details of the record; (b) the record point plotted using Google Maps and (c) any images attached to the record. Please scroll down to see the various items.

Record details:

Date: 6 Feb 2016
Recorder(s):MA Hyde
Collector(s):
Determiner(s):MA Hyde
Confirmer(s):
Herbarium:
Habitat: Climbing on shrubs
Location: National Botanic Garden, Harare
Location code(s): 1,21
Outing code:
Planted code: Not planted
Country: Zimbabwe
Quarter Degree Square: 1731C3
Grid reference:
FZ divisions: C
Altitude (metres): 1520
Notes:
Latitude, Longitude: -17.801470, 31.052910
Location Accuracy Code: 7

Map of species record

Images:

Image: 31

Kedrostis foetidissima

Species id:157070
Image id:31
Image number:35151
Photographer: MA Hyde
Code 1 if image of a herbarium specimen:0
Herbarium in which image taken:
Code 1 if image not to be displayed:0
Image notes:

Image: 32

Kedrostis foetidissima

Species id:157070
Image id:32
Image number:35152
Photographer: MA Hyde
Code 1 if image of a herbarium specimen:0
Herbarium in which image taken:
Code 1 if image not to be displayed:0
Image notes:

Image: 33

Kedrostis foetidissima

Species id:157070
Image id:33
Image number:35153
Photographer: MA Hyde
Code 1 if image of a herbarium specimen:0
Herbarium in which image taken:
Code 1 if image not to be displayed:0
Image notes:

Copyright: Mark Hyde, Bart Wursten, Petra Ballings and Meg Coates Palgrave, 2002-25

Hyde, M.A., Wursten, B.T., Ballings, P. & Coates Palgrave, M. (2025). Flora of Zimbabwe: Individual record no: 101852: Kedrostis foetidissima.
https://www.zimbabweflora.co.zw/speciesdata/species-record.php?record_id=101852, retrieved 23 December 2025

Site software last modified: 18 October 2025 12:29pm (GMT +2)
Terms of use