Details of record no: 66262

Rhoicissus revoilii Planch.

Three blocks of information are displayed on this page, namely: (a) details of the record; (b) the record point plotted using Google Maps and (c) any images attached to the record. Please scroll down to see the various items.

Record details:

Date: 7 May 2015
Recorder(s):BT Wursten
T Castigo
Collector(s):BT Wursten
BW1355
Determiner(s):BT Wursten
Confirmer(s):
Herbarium:BR
TCT-CatapĂș
EOWBL
Habitat: Tall mixed Miombo woodland
Location: Along entrance road to Zebra Ranger Camp, northwestern Gorongosa National Park.
Location code(s): 14
Outing code: 36
Planted code: Not planted
Country: Mozambique
Quarter Degree Square: 1834C1
Grid reference:
FZ divisions: MS
Altitude (metres): 310
Notes:
Latitude, Longitude: -18.693250, 34.207650
Location Accuracy Code: 7

Map of species record

Images:

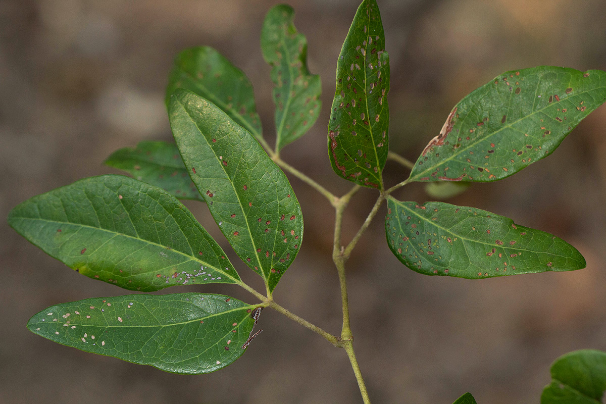
Image: 7

Rhoicissus revoilii

Species id:137830
Image id:7
Image number:21389
Photographer: BT Wursten
Code 1 if image of a herbarium specimen:0
Herbarium in which image taken:
Code 1 if image not to be displayed:0
Image notes:

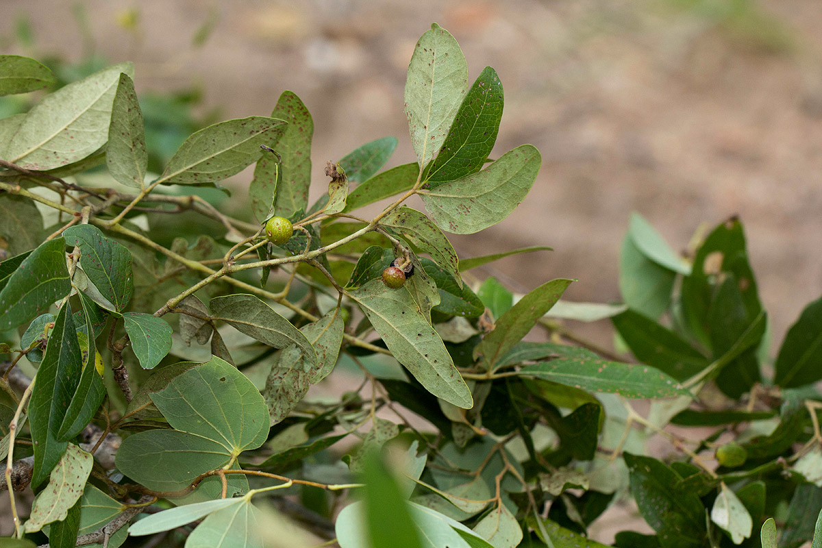
Image: 8

Rhoicissus revoilii

Species id:137830
Image id:8
Image number:21390
Photographer: BT Wursten
Code 1 if image of a herbarium specimen:0
Herbarium in which image taken:
Code 1 if image not to be displayed:0
Image notes:

Image: 9

Rhoicissus revoilii

Species id:137830
Image id:9
Image number:21391
Photographer: BT Wursten
Code 1 if image of a herbarium specimen:0
Herbarium in which image taken:
Code 1 if image not to be displayed:0
Image notes:

Image: 10

Rhoicissus revoilii

Species id:137830
Image id:10
Image number:21392
Photographer: BT Wursten
Code 1 if image of a herbarium specimen:0
Herbarium in which image taken:
Code 1 if image not to be displayed:0
Image notes:

Copyright: Mark Hyde, Bart Wursten, Petra Ballings and Meg Coates Palgrave, 2002-26

Hyde, M.A., Wursten, B.T., Ballings, P. & Coates Palgrave, M. (2026). Flora of Zimbabwe: Individual record no: 66262: Rhoicissus revoilii.
https://www.zimbabweflora.co.zw/speciesdata/species-record.php?record_id=66262, retrieved 21 March 2026

Site software last modified: 18 October 2025 12:29pm (GMT +2)
Terms of use